€ 385.000,- Vrij op naam
WONINGMODEL VIVRE
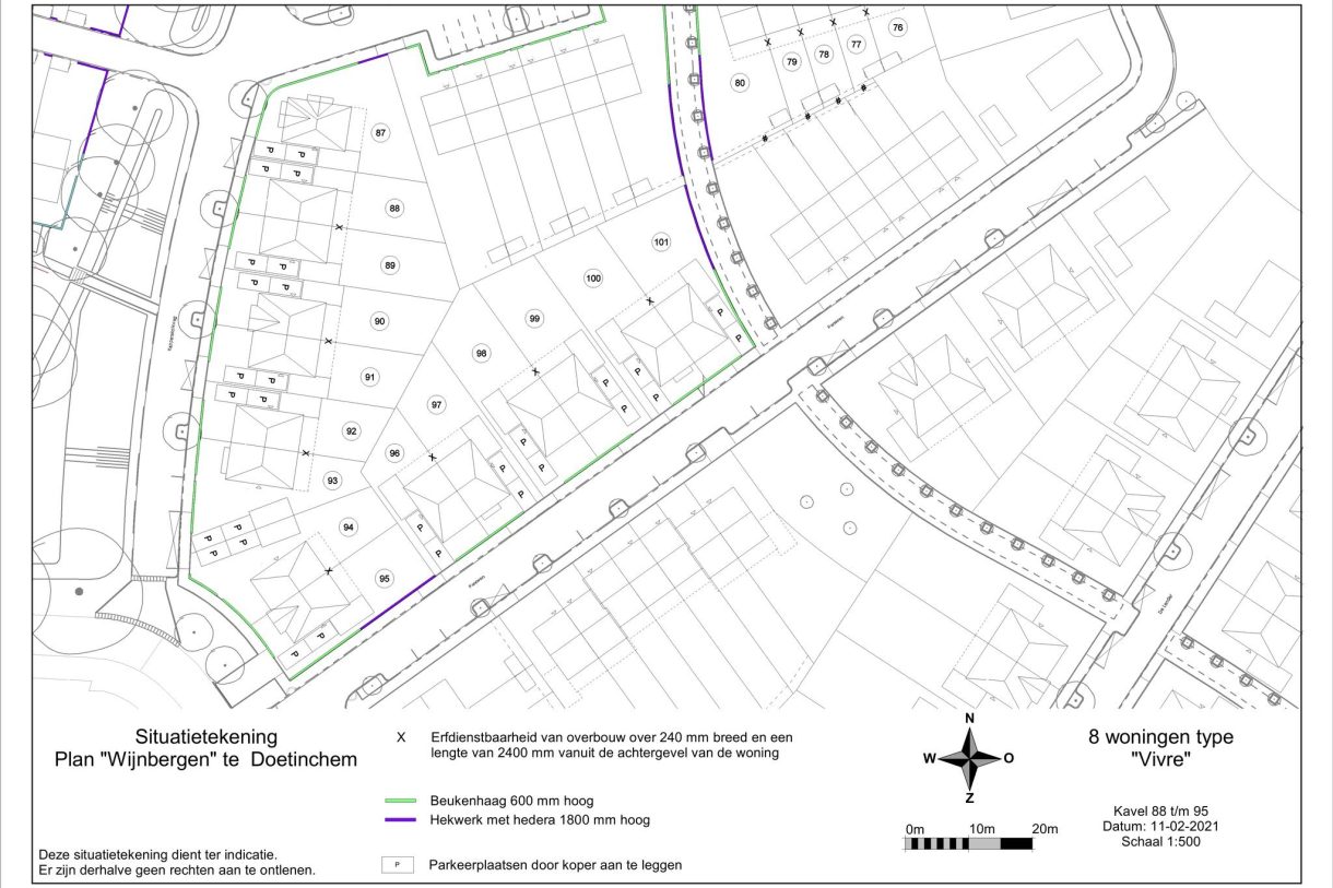
De woningen van het model Vivre zijn in de basis 5,94 meter breed en 10,74 meter diep en hebben een prachtige uitstraling. Door de fraaie topgevel in het accent of een mooie erker, is elke woning uniek. De voorkant grenst aan het voetpad en een groenstrook. Naast het huis heb je voldoende ruimte om je auto te parkeren. Daarnaast heeft deze woning een aangebouwde gemetselde berging, erg handig! Kavel 94 heeft in de basis een vrijstaande berging. Wil je nog meer woonruimte voor een extra grote woonkeuken met kookeiland? Kies dan voor een 1,20 of 2,40 meter verlenging aan de tuinzijde. De kaveloppervlakte van het model Vivre varieert van circa 255 m2 tot en met 326 m2.
De eerste verdieping van deze woning heeft drie slaapkamers en een luxe badkamer met een ligbad, een douche, een wastafel en een tweede wandcloset. Op zolder staan de technische installaties, en is de aansluiting van de wasmachine. Hier zou je ook opbergkasten en een strijkplank kwijt kunnen. Woningmodel Vivre biedt voldoende indelingsmogelijkheden!
Naast de vele mogelijke opties worden deze woningen al zéér compleet opgeleverd:
– Inclusief keukencheque
– Inclusief badkamer en toilet met sanitair en tegelwerk
– Inclusief bodemwarmtepomp (gasloos wonen)
– Inclusief vloerverwarming en -koeling op de begane grond en de eerste verdieping
– Inclusief Triple HR+++ glas in de complete woning
– Inclusief zonnepanelen
– Inclusief (aangebouwde) gemetselde berging
– Super duurzaam en klaar voor de toekomst: Conform de allerlaatste BENG-eisen
– Royale tuinen
- 141 m2
- 276 m2
- 3
Overdracht
| Status | Verkocht |
|---|---|
| Prijs | € 385.000,- Vrij op naam |
Oppervlaktes en inhoud
| Gebruiksoppervlakte | 141 m2 |
|---|---|
| Inhoud | 595 m3 |
Bouw
| Soort | Eengezinswoning |
|---|---|
| Dak type | Zadeldak |
| Isolatievormen | Volledig geïsoleerd, Driedubbel glas |
Indeling
| Aantal verdiepingen | 3 |
|---|---|
| Aantal kamers | 4 |
| Aantal slaapkamers | 3 |
Maandlasten
Ligging
Marktcijfers van Doetinchem
Gemiddelde verkoopprijs in Doetinchem
Landelijk gemiddelde: € 318.796,-
Gemiddelde vraagprijs in Doetinchem
Landelijk gemiddelde: € 336.310,-
Gemiddelde verkooptijd in Doetinchem
Landelijk gemiddelde: 22
Gemiddeld aangeboden in Doetinchem
Landelijk gemiddelde: 4081
Gemiddeld aantal verkocht in Doetinchem
Landelijk gemiddelde: 8726
Gemiddelde prijs/m2 in Doetinchem
Landelijk gemiddelde: 2.770